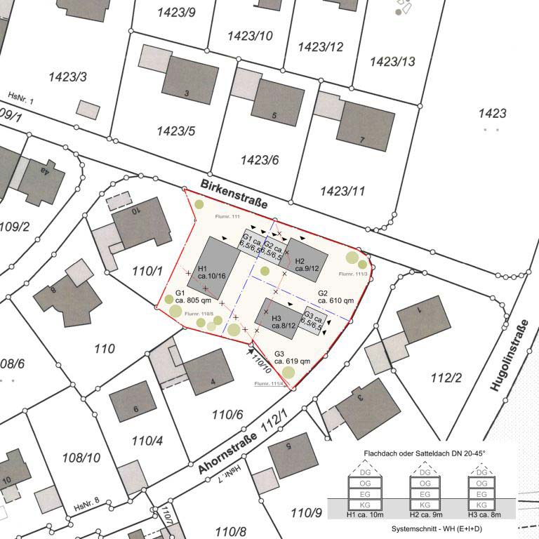
Bebauungskonzept / Projektentwicklung Grundstück, Ottmaring

  • Neuteilung in drei Grundstücke für Bebauung mit Einfamilienhäusern
  • Erstellung Grundstücksanschlüsse Strom/Wasser/Schacht

 

« zurück zur Übersicht

Bebauungskonzept / Projektentwicklung Ottmaring 2024

 

Bebauungskonzept / Projektentwicklung Ottmaring 2024

 

Bebauungskonzept / Projektentwicklung Ottmaring 2024

 

Bebauungskonzept / Projektentwicklung Ottmaring 2024